​​​​​X3 LAND GROUP INC.                                      

 Shelby County, AL. - Calera - Commercial Property -

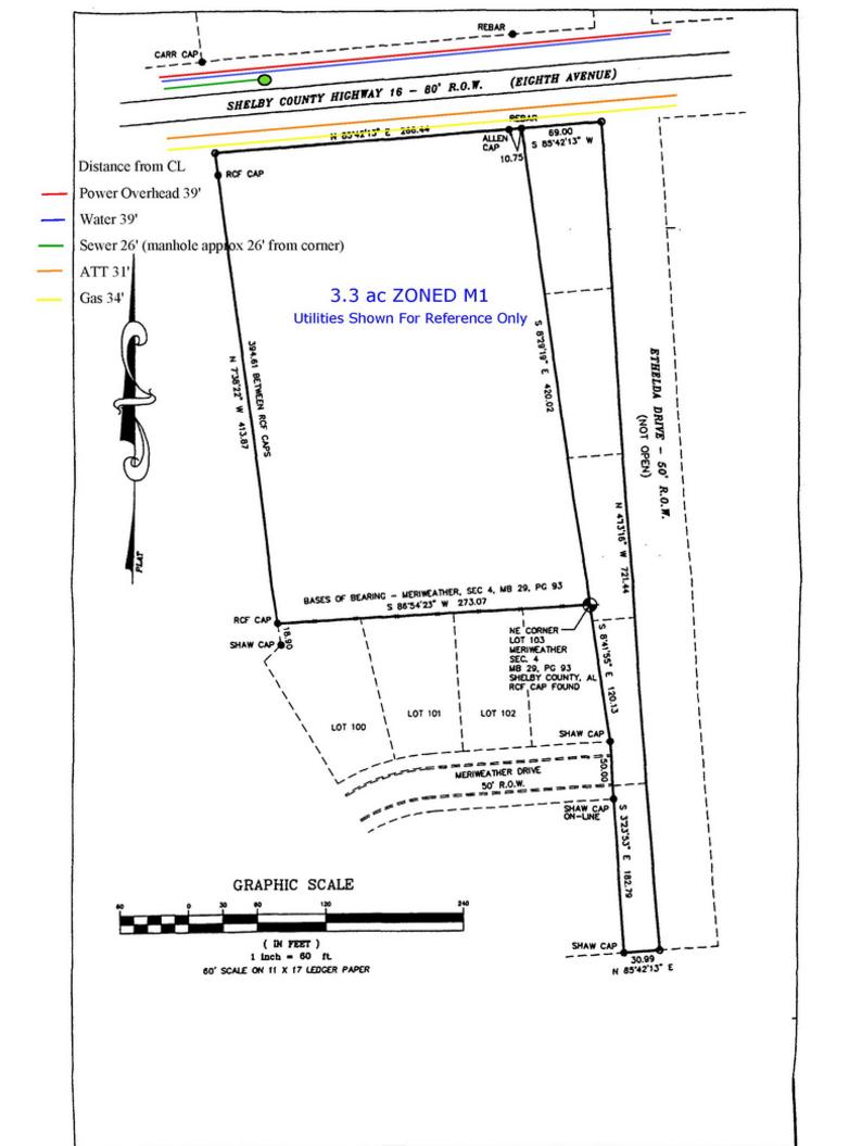
Zoned M1- Mini Storage/Office - 3.3 ac+/-   $209,000

Description

Prime Commercial Property for Sale - Ideal for Office or Mini Storage Development

A rare opportunity to acquire a highly desirable 3.3-acre commercial property, strategically located in one of the fastest-growing cities in Alabama. This versatile property is ideally zoned M1, allowing for office or mini storage development, and is surrounded by thriving single-family residences, along with 100+ new lots available to build on, ensuring a consistent flow of potential customers.

Features:

  • Size: 3.3 acres of prime commercial land
  • Zoning: M1
  • Potential Uses: Perfect for office spaces or lucrative mini storage facilities
  • Location: Situated in a rapidly expanding city in Alabama
  • 100+ New Lots Available For Construction
  • Surroundings: Surrounded by vibrant single-family residences, guaranteeing high visibility and convenient accessibility for future customers
  • Road Frontage: Easy access from the main road, offering excellent exposure and promoting business growth
  • Utilities: All utilities, including water, electricity, and sewer connections, are readily available, simplifying the development process



This exceptional commercial property presents an outstanding investment opportunity for entrepreneurs, developers, or businesses seeking a prime location to establish their operations. Take advantage of the remarkable growth potential in this thriving Alabama city and make this property the foundation of your success.


John Farley

Broker-Land Consultant

Licensed AL. - LA.

Direct: (205) 368-9032

Office (205) 368-9032

Email: John.Farley@X3LandGroup.Com

SOLD